Porządek obrad
1.
Otwarcie posiedzenia i przedstawienie porządku obrad.
2.
Opinia w sprawie przeznaczenia do oddania w użyczenie lokalu użytkowego przy ul. Kwiatkowskiego (dawna brama nr 3 HSW – strona lewa)
3.
Opinia w sprawie przeznaczenia do sprzedaży w drodze przetargu nieograniczonego lokalu użytkowego składającego się z 7 pomieszczeń wraz z piwnicą.
4.
Projekt uchwały w sprawie zmian w budżecie miasta na 2026 rok oraz zmieniająca uchwałę budżetową Miasta Stalowej Woli na 2026 rok - autopoprawka.
5.
Projekt uchwały w sprawie zmian zakresu wykonywania przedsięwzięć i zmian w Wieloletniej Prognozie Finansowej Miasta Stalowej Woli - autopoprawka.
6.
Projekt uchwały w sprawie wyrażenia zgody na umorzenie należności czynszowej
7.
Opinia w sprawie umorzenia zaległości odsetkowej naliczonej za zajmowany lokal należący do mieszkaniowego zasobu Gminy Stalowa Wola.
8.
Projekt uchwały w sprawie ustalenia wynagrodzenia Prezydenta Miasta Stalowej Woli.
9.
Projekt uchwały zmieniającej uchwałę w sprawie wyrażenia zgody na sprzedaż nieruchomości (dot. działki 1647/2)
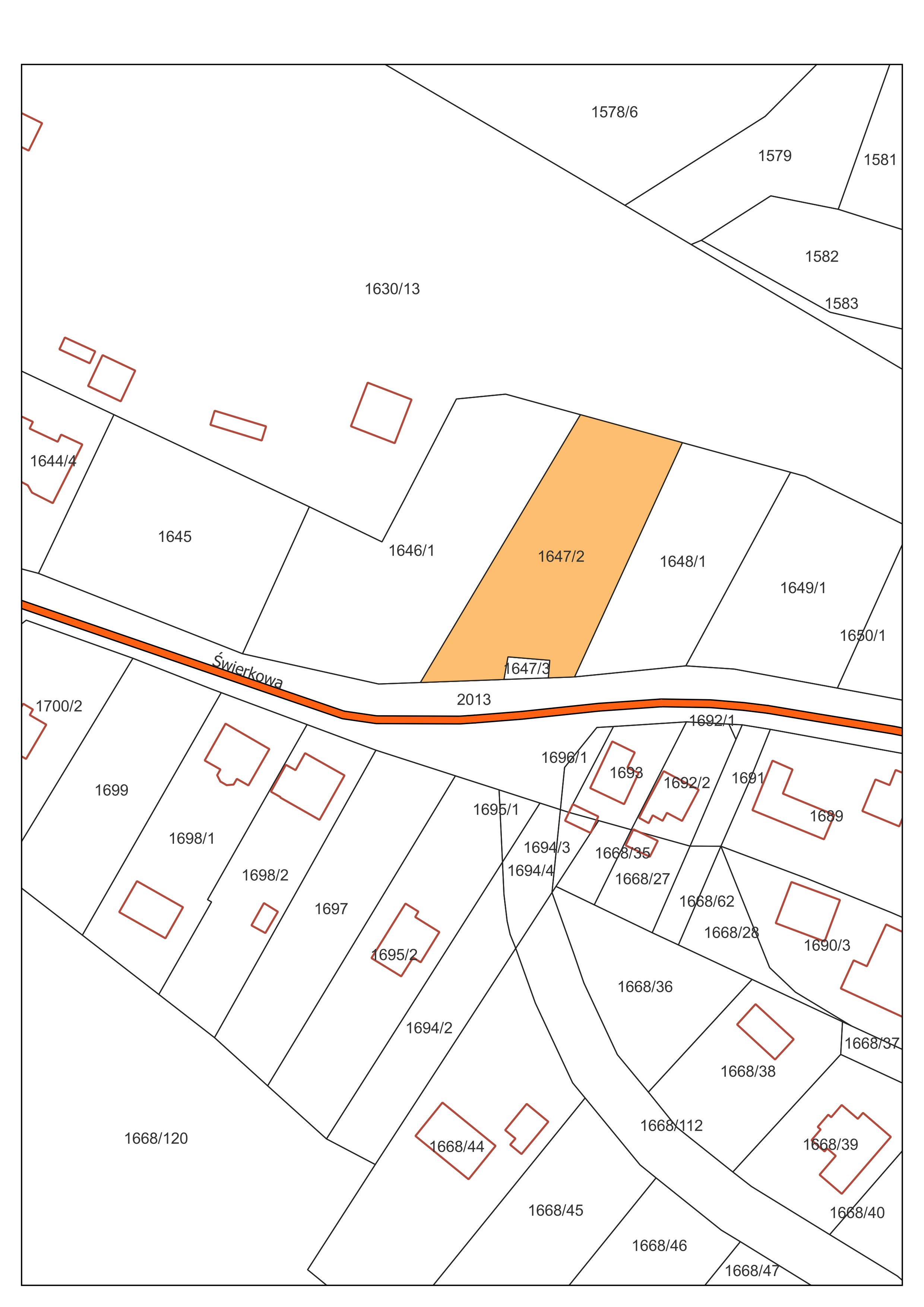
10.
Projekt uchwały w sprawie wyrażenia zgody na odstąpienie od zbycia w drodze przetargu udziału w nieruchomości gruntowej (dot. działki 3066).
11.
Projekt uchwały w sprawie wyrażenia zgody na wydzierżawienie nieruchomości (dot. części działki 122/2).
12.
Projekt uchwały w sprawie przyjęcia programu opieki nad zwierzętami bezdomnymi oraz zapobiegania bezdomności zwierząt na terenie Stalowej Woli.
14.
Zamknięcie obrad Komisji.